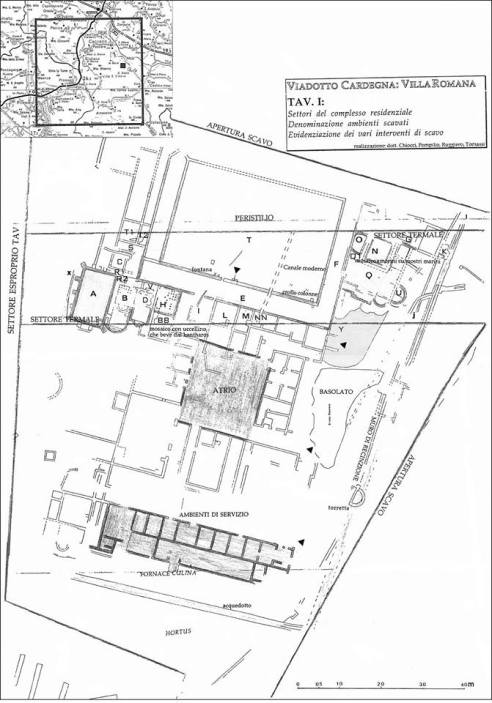
La grande Villa Romana di Cardegna, dissepolta dalla Tav e sepolta di nuovo dalla Sovrintendenza, grande manufatto di età imperiale lungo il corso del Sacco a valle di Ceccano: un tesoro abbandonato al pascolo. Ecco, per gentilezza di Ivan Coccarelli un’immagine della pianta

e qui la ricostruzione in 3D

Scopri di più da Pietroalviti's Weblog
Abbonati per ricevere gli ultimi articoli inviati alla tua e-mail.